鍋爐作為工業生產中最常用的能量轉換設備之一,有多種分類方式。其中,按照鍋爐使用的燃料可分為燃煤鍋爐、燃氣鍋爐、燃油鍋爐、生物質鍋爐、電加熱鍋爐。無論哪種形式的鍋爐,原理都是通過轉化燃料中的化學能或利用電能轉化為熱能,把水加熱至沸騰產生蒸汽,既可使用熱水和蒸汽做熱交換供暖,又可以利用蒸汽推動汽輪機做工發電。鍋爐已經成為人們廣為依賴的采暖工具和動力來源。到能量轉換,自然離不開鍋爐的溫度測量,溫度是鍋爐最重要的幾個參數之一。本文通過介紹循環流化床鍋爐的各個組成部件,探討鍋爐測溫熱電偶和熱電阻設計選型和影響其可靠性的因素。
工業時代以來,隨著大型機械的出現和廣泛應用,人們對電力的要求越來越高。目前,我國電力能源結構大致分為火電、水電、風電、太陽能發電以及核電。各個能源的裝機量大致如下:火電裝機量占比56.6%,水電的裝機量占比16.8%,風電裝機量12.8%,太陽能裝機量11.5%,核電裝機量2.3%。根據國家統計局數據統計,2021年1~12月全國發電量為81121.8億千瓦時,累計增長8.1%。其中,火力發電量為57702.7億千瓦時,占全國發電量比重約為71.13%,火電的占比無論是裝機量還是發電量均領先。這說明目前以及未來一段時間的電力能源來源主要火電,特別是煤炭發電。
鍋爐作為工業生產中最常用的能量轉換設備之一,是火力發電廠的重要組成部分,在人類的生產、生活中發揮著重大作用。從不同的角度鍋爐分成多種形式:
①按照鍋爐容量分為:蒸發量<20t/h的稱為小型鍋爐,蒸發量>75t/h的稱為大型鍋爐,蒸發量介于兩者之間的稱為中型鍋爐。
②按照鍋爐使用的燃料分為:燃煤鍋爐(這種鍋爐出現相對來說較早,主要以燃煤作為燃料,比如:鏈條爐和循環流化床鍋爐),燃氣鍋爐(在國家提倡環境保護的情況下,燃氣鍋爐以環保為主),燃油鍋爐(主要以輕油、重油等油類為主作為燃料),生物質鍋爐(主要以農作物廢棄物為燃料,例如花生殼、玉米芯、玉米桿等),電加熱鍋爐(主要以電能為燃料)。
③按照鍋爐內的蒸汽壓力分為:低壓鍋爐(出口的蒸汽壓力≤2.5MPa的鍋爐),中壓鍋爐(出口蒸汽壓力在2.94~4.90MPa之間的鍋爐),次高壓鍋爐(出口蒸汽壓力在中壓鍋爐與高壓鍋爐之間的鍋爐),高壓鍋爐(出口蒸汽壓力高于5.88MPa,低于9.81MPa的鍋爐);除此之外還有超高壓鍋爐、壓臨界壓力鍋爐以及超壓臨界鍋爐。
本文主要探討循環流化床鍋爐的結構和工藝流程。
1、循環流化床鍋爐的結構和原理
1.1 循環流化床鍋爐的構成循環流化床鍋爐由鍋爐本體及輔助設備組成:鍋爐本體如圖1所示,主要包括風室、爐膛、旋風分離器、回料閥、以及鍋筒、省煤器、空氣預熱器等。

圖1 循環流化床鍋爐結構圖
1.2 循環流化床鍋爐的結構特點
流化床鍋爐最為主要的結構特點是物料循環系統,由布風裝置、燃燒室、氣固分離器、回料裝置、點火裝置等設備組成。燃燒室、分離器及回料裝置被稱為循環流化床鍋爐的三大核心部件,構成了循環流化床鍋爐的顆粒循環回路,是其結構上區別于其它鍋爐的明顯特征,是循環流化床鍋爐的特有系統。
1.3 循環流化床鍋爐的工作原理燃料經破碎機破碎至合適的粒度后,經給煤機從燃燒室布風板上部給入,與燃燒室熾熱的沸騰物料混合,被迅速加熱。燃料迅速著火燃燒,在較高氣流速度的作用下,充滿爐膛,并有大量的固體顆粒被攜帶出燃燒室,經氣固分離器分離,分離下來的物料通過物料回送裝置重新返回爐膛繼續參與燃燒。分離器導出的高溫煙氣,在尾部煙道與對流受熱面換熱后,通過除塵器由煙囪排出。
以上所述的煤、風、煙系統稱為鍋爐的燃燒系統,即一般說的“爐”。
另一方面,鍋爐給水經水泵送入省煤器預熱,再進入汽包,然后進入下降管、水冷壁,被加熱并蒸發后又回到汽包。汽水分離后蒸汽進入過熱器升溫通過主蒸汽管道送到用戶處。
上述為汽水系統,即一般說的“鍋”。
總的來說,“爐”的任務是盡可能組織高效的放熱,“鍋”的任務是盡量把爐的熱量有效地吸收;“鍋”和“爐”組成了一個完整的能量轉換和蒸汽產生過程。
2、循環流化床溫度測點布置及選型
2.1 循環流化床鍋爐溫度測點布置鍋爐通過加熱實現能量轉換,因此鍋爐溫度的穩定是鍋爐性能的一項重要指標。溫度過高和溫度過低都會給鍋爐的穩定運行和生產造成重大影響,甚至發生安全事故。溫度過高,導致鍋爐金屬材料和相關部件的超溫過熱,加速管材金屬氧化,降低鍋爐和相關部件的使用壽命:溫度過低,假定在保持鍋爐蒸發量不變的情況下,鍋爐的損耗將大幅上升,能源利用率因下降,負荷也將受到限制。所以,限定鍋爐在安全溫度成為每一個溫度控制系統的核心部分。
以連云港某化工廠投產額定蒸發量130t/h、最大蒸發量150t/h鍋爐為例,通過與熱工專業工程師探討,選取代表性的循環流化床鍋爐測溫點大致如下:
2.1.1 風系統
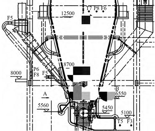
爐膛區域測點布置如圖2所示。
T5:風室入口空氣溫度測點,數量2,溫度158℃。
T6:風室空氣(煙氣)溫度測點,數量4,運行時溫度158℃,點火時溫度900℃。
T7:二次風管入口空氣溫度測點,數量2,溫度165℃。

圖2 爐膛風系統溫度測點圖
一次風主要是供風室,通過布風板風帽進入爐膛,流化床料;同時供啟動時點火風,播煤風。播煤風又分為3路到3臺給煤裝置。
2.1.2 煙氣系統
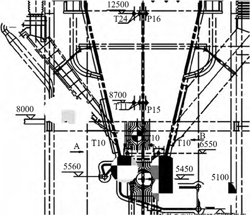
爐膛溫度測點布置如圖3所示。

圖3 爐膛煙氣系統溫度測點圖
T10:床溫測點(沿爐膛四周布置),數量8,溫度892℃。
T11:爐膛溫度測點(燃燒-布風板上密相區),數量4,溫度885℃。
T12:爐膛溫度測點(爐膛出口),數量2,溫度888℃。
T24:爐膛溫度測量(爐膛下部),數量4,溫度895℃。
省煤器煙道測點布置如圖4所示。

圖4 省煤器煙道側點布置
T16:上級省煤器入口煙氣溫度測量,數量2,溫度576℃。
T17:上級省煤器出口煙氣溫度測量,數量2,溫度374℃。
T18:下級省煤器入口煙氣溫度測量,數量2,溫度374℃。
T19:下級省煤器出口煙氣溫度測量,數量2,溫度232℃。
2.1.3 汽水系統
鍋筒溫度測點布置為:
T23:鍋筒壁溫測點,數量8,溫度319℃。
為防止鍋筒承受過大的熱應力,應控制鍋筒上、下壁溫差不得超過50℃。
2.2 測溫熱電偶和熱電阻的選型
測溫熱電偶和熱電阻的選型以HG/T20507-2014《自動化儀表選型設計規范》為依據,根據規范可知,集中檢測用溫度儀表主要包括熱電阻和熱電偶,溫度測量范圍為如下表所示。

測點溫度<450℃的選用熱電阻,450℃≤測點溫度≤1000℃一般選用經濟實惠的K型鎧裝熱電偶。爐膛內有高溫高速的爐灰爐渣,所以溫度儀表應配備保護套管。根據規定,在設備、襯里管道、非金屬管道安裝的套管需要采用法蘭連接方式。套管一般使用310S材料制作,以保障熱電偶的使用壽命。鍋爐爐筒的表層溫度測量常用一片式溫度傳感器裝置,一片式探頭的直徑D=8mm,貼片高度是H=12mm,其他的遠傳溫度傳感器的選型,一般是鎧裝用螺紋的形式在外面固定。
熱電偶插入深度應根據工藝要求設計,插入的深度不同,會對測量的精確度、使用的壽命造成影響。由于鍋爐本身的不同結構部位,比如,內壁和保護層的寬厚度不一樣,溫度裝置儀表進入的深度必須依照鍋爐保護層的寬厚度和工作時的實際情況確定。例如爐膛:鍋爐的內壁厚度一般是60mm,保溫材質厚度是80mm,保護鍋爐的內壁版厚度是80mm,則保護套管需要延伸外部240mm。為了得到準確的測量溫度,并且使溫度裝置儀表的使用壽命增加,伸入鍋護內壁100mm是最合適的,因此最后熱電偶需要深入爐墻表面560mm。與其他爐型的溫度測點相比,循環流化床鍋爐的密相區顆粒濃度很大且磨損特別嚴重,要求床溫測點熱電偶應裝在具有耐高溫和耐磨損的套管內,耐磨的套管伸出耐火材料壁大約50mm。
根據以上結論,T5、T7、T17、T18、T19選用帶套管的熱電阻測量;T6、T10、T11、T12、T24應選用帶套管的熱電偶測量,T16工作溫度由于接近熱電阻上限值,考慮最高溫度因素,宜選用熱電偶測量。T23鍋筒溫度選用一片式溫度傳感器測量。
3、循環流化床鍋爐溫度儀表可靠性分析
影響循環流化床鍋爐溫度儀表的可靠性因素來自兩方面:一是溫度檢測儀表的本身因素,二是溫度檢測儀表的安裝。
3.1 測溫儀表因素
3.1.1 熱電偶和熱電阻的選擇
鍋爐測溫中有很多工況溫度在熱電阻和熱電偶的交界范圍內,這種情況需要對熱電阻和熱電偶比較進行選型。根據研究,熱電偶適用于高溫測量,但其溫漂較大。熱電阻由高純度的鉑金制成,精度高,穩定性好,溫漂小。在正常使用范圍內,熱電阻的精度是熱電偶的2倍,且壽命長于熱電偶。熱電阻有良好的響應速度,但不適于高溫測量。其傳感元件與引線的焊接是脆弱環節,需要用高精度的焊接設備做成冗余式的焊接點。對于精度要求不高的高溫測量一般選用熱電偶,在抗震動、可靠性方面,熱電阻有其優越性。
3.1.2 熱電阻線制的選擇
過去,常用的熱電阻測量是三線制的。這種制式由于端子腐蝕、接線不緊,可能導致電路上的不平衡,從而引起誤差。而四線制熱電阻則可有效地消除因導線電阻變化而引起的誤差,它使用一個阻抗極高的電壓表,電壓測量回路中的電流幾乎為零,引線電阻對感應元件的影響降到最低程度,可以精確地測得熱電阻上的電壓,使電壓值與熱電阻上被測溫度成線性??梢姡木€制熱電阻的隔離性及穩定性要優于三線制熱電阻。
3.1.3 溫度計保護管的應用
在一般流速和振動不太大尤其空間比較狹窄的場合,將鎧裝熱電阻或熱電偶直接插入管道或設備,傳感器與過程流體充分接觸,響應速度快。對于連續生產的工藝過程,為了在拆裝更換溫度計時不停產,則需在鎧裝測溫體外再配以保護管。大部分熱電阻、熱電偶的頂端離保護套管的底端有將近10mm的距離,溫度響應的時間延長。現在,熱套式熱電阻/熱套式熱電偶的傳感器的頂部緊貼保護套管的底部,大大降低了響應時間。在套管中充導熱油也能達到響應效果。選擇保護管時,除了適用溫度,還要考慮耐壓、防腐蝕、抗磨損及避免共振等諸因素,應進行必要的計算,確??煽抗ぷ鳌?br />

3.2 測溫儀表的安裝因素
通常,所用溫度計是帶有套管的熱電阻或者熱電偶,鍋爐施工過程經常出現施工人員攀爬爐墻或者從鍋爐上方高空墜物的情況,在安裝時注意將其設置于便于檢修且不會受到外部環境影響或是相應機械損傷的位置,對焊接在管道或是鋼制管接頭進行螺紋連接。并且在安裝相應的測溫設備時,要注意測溫的熱電偶或熱電阻安裝在爐內介質溫度變化靈敏且具有典型性的位置,防止安裝在相應的管道或設備死角處。同時測溫儀表插座的材質應與主管道保特一致,熱電偶自由端溫度的變化對測量結果影響大,必須經常校正或保特自由端溫度的恒定。
4、結束語
溫度檢測是維持循環流化床鍋爐安全平穩運行的重要指標。根據不同位置的實際情況,選擇不同類型的熱電偶或熱電阻并結合DCS系統進行PID調節,比如爐床溫度,控制好床溫是流化床保障安全運行和促進流化床高效運行的關鍵前提。鍋爐運行實際會產生多種影響因素,導致溫度控制效果不理想,必須在試運行中,配合鍋爐的壓力及鍋筒液位等其他參數,結合經驗,才能使循環流化床鍋爐達到一個平穩合理的運行狀態。
作者:(吉林省石油化工設計研究院)涂沖
